Litsea akoensis Hayata 屏東木薑子

臺灣野生植物資料庫

Taiwan Botanic Database (TBD)

banner image

返回

標本
被子植物

Litsea akoensis Hayata

屏東木薑子

國家受脅類別

暫無危機 (LC, Least Concern)

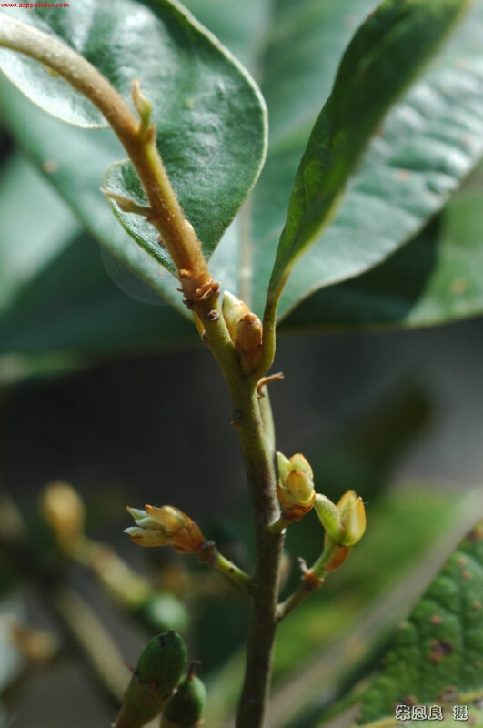
常綠小喬木,枝、葉均被灰褐短毛;葉橢圓形、倒卵形、闊倒卵形、近圓形、披針形、倒披針形,裡面灰褐而有毛;果實長1.4-1.8公分。 (楊遠波、劉和義、呂勝由 1997)
分類演化
形態特徵

特徵描述

參考文獻

生態照片

生態資訊

生活型

喬木

存活期

多年生

喜好生育環境

地生-一般性

棲地鹽度

淡水

能量與碳來源

自營

生態演替序列

中期

常綠落葉性

常綠性

授粉機制

蜂類(膜翅目)

種實傳播機制

鳥類取食排遺

關聯生物

寄生生物
Fascellina chromataria 褐缺口尺蛾
寄生生物
Susica sinensis 素刺蛾
寄生生物
Graphium sarpedon connectens 青鳳蝶
寄生生物
Antheraea formosana 紅目天蠶蛾
寄生生物
Gynautocera rubriscutellata 紅腹長翅螢斑蛾
分布資料

原生性

特有性

臺灣特有

國內分布

族群分布圖

CC BY:台灣生物多樣性網絡TBN  https://www.tbn.org.tw/ 。

點位為1公里x 1公里網格中心,而非實際觀察位置。同一網格內有多筆觀測紀錄時,僅呈現最高海拔之紀錄。

保育狀態

國家紅皮書受脅類別與標準